Terreno à venda, N SRA SALETE, CACADOR - SC
RODOVIA SC 302 - Nossa Senhora da Salete - CACADOR/SC
Terreno à venda, N SRA SALETE, CACADOR - SC
Terreno à venda, N SRA SALETE, CACADOR - SC
OPORTUNIDADE ÚNICA TERRENO URBANO PRÓXIMO A LAMIPACK.
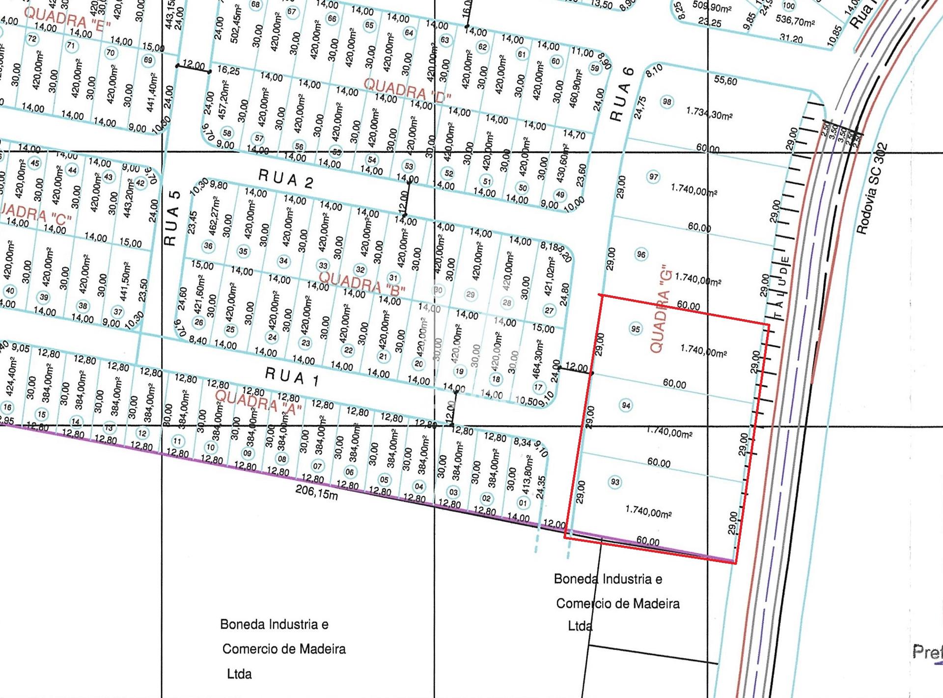
São 87,00 metros de frente para a rodovia SC 302 , laterais com 60,00 metros e área total de 5.220,00m², (cinco mil e duzentos metros quadrados) .
Fundos com a rua do Loteamento Contestado.
Suas dimensões e localização, são os pontos fortes para instalação de sua empresa.
Próximo da Lamipack, MX3 Arena, Gatti Mix.
Para comodidade seu uso pode ser fracionado, são três matrículas.
Opção de pagamento com entrada, mais duas parcelas com vencimento em 6 e 12 meses.
Para pagamento a vista tem negociação.
Saída para Calmon-SC.
Características do Imóvel
Localização do imóvel
Confira alguns de nossos imóveis
Anunciar seu imóvel conosco é simples e prático
Potencialize seus resultados e anuncie seu imóvel conosco agora mesmo!
Veja alguns dos nossos imóveis que selecionamos para você!
Nós entendemos que uma nova casa é mais do que apenas um imóvel, é a oportunidade de começar uma nova e verdadeira história. Por isso, fazemos o máximo para ajudá-lo a encontrar o lugar perfeito para você.
Encomende seu imóvel conosco!
Não espere mais! Deixe-nos encontrar seu imóvel dos sonhos.
Encomende seu imóvel













